En vente Terrain 11988 m2
| Ville | Castelmayran |
| Code postal | 82210 |
| Type de bien | Terrain |
| Surface | 11988 m2 |
| Nombre de pièces | |
| Prix | 153 000,00 € |
| Informations sur l'annonceur | |
|---|---|
| Annonce de professionnel |
|
| Agence | Castelimmo Voir toutes les annonces |
| Adresse | |
| 82100 | |
| Téléphone Fixe | 0563327321 |
Description
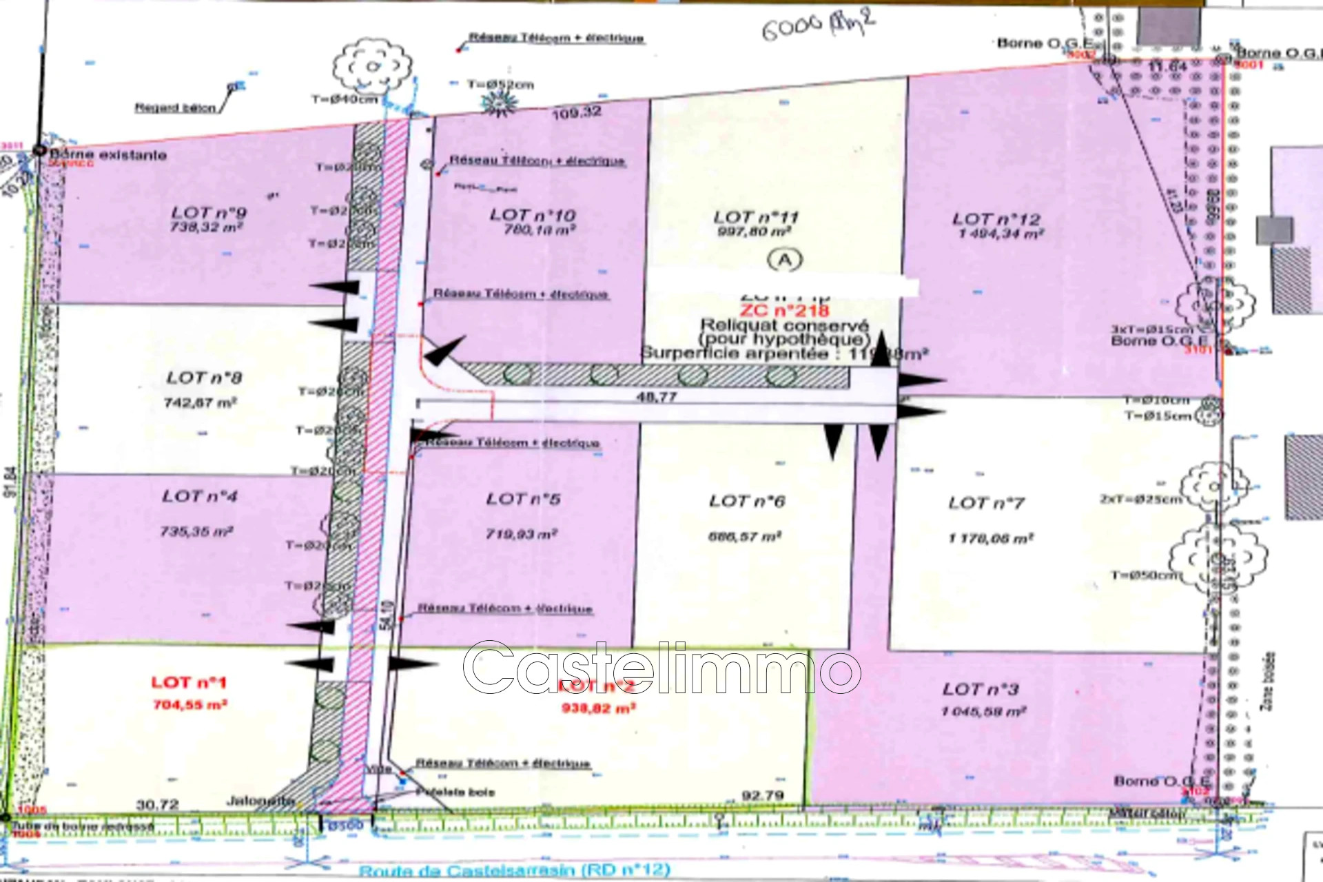
Terrain constructible sur la commune de Castelmayran.
Terrain constructible non viabilisé de 12 000m². Potentiel de création de 12 lots allant d'environ 700m² à 1500m².
Eau, électricité, pluvial en bordure du domaine public. Une OAP est disponible sur le PLUi-h de l'intercommunalité Terre des Confluences.
Idéal aménageur/lotisseur et investisseurs.